Understanding Hurricane Tracking: A Comprehensive Guide

C.Codelathe 30 views
Understanding Hurricane Tracking: A Comprehensive Guide

Understanding Hurricane Tracking: A Comprehensive Guide

Hey guys! Ever wondered how those weather wizards manage to predict where a hurricane is going to land? It’s not magic, though it sometimes feels like it! It’s all thanks to a fascinating field called hurricane tracking. Let’s dive deep into the world of hurricane tracking , exploring the science, the tools, and the importance of understanding these powerful storms. This guide will break down everything you need to know, from the basics of how hurricanes form to the advanced technologies used to predict their paths. So, buckle up and get ready to become a hurricane tracking pro!

The Science Behind Hurricane Formation

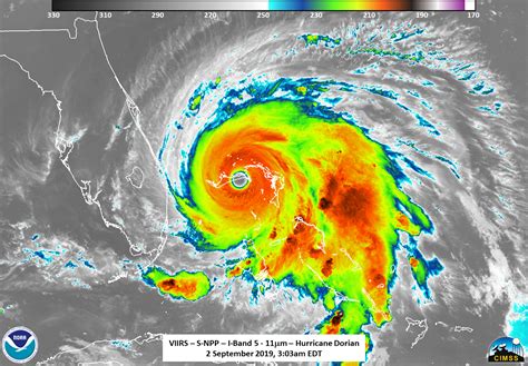
Before we get into tracking hurricanes , it’s crucial to understand how these behemoths are born. Hurricanes, also known as typhoons or cyclones depending on where you are in the world, are essentially giant heat engines. They thrive on warm ocean water, typically needing surface temperatures of at least 80°F (27°C). When warm, moist air rises from the ocean’s surface, it creates an area of low pressure. This low pressure sucks in more air, which also warms and rises. As this air rises, it cools and condenses, forming massive cumulonimbus clouds – the kind that bring thunderstorms.

Now, here’s where the Earth’s rotation comes into play. The Coriolis effect causes the winds to spiral inward and upward, creating the characteristic swirling pattern of a hurricane. As more warm, moist air is drawn in, the storm intensifies. The rising air eventually reaches the upper atmosphere, where it flows outward, allowing more air to rise below. This cycle continues, feeding the hurricane and allowing it to grow in size and strength. The center of the storm, known as the eye, is a relatively calm area with descending air. Surrounding the eye is the eyewall, the most intense part of the hurricane, with the strongest winds and heaviest rainfall. Understanding this process is the first step in comprehending hurricane behavior and, consequently, how we track them.

Tools and Technologies for Tracking Hurricanes

Okay, so now that we know how hurricanes form, let’s explore the cool gadgets and methods scientists use to keep tabs on them. Hurricane tracking isn’t just about staring at a weather map; it’s a sophisticated process involving a range of technologies and data analysis techniques. Satellites play a crucial role, providing a bird’s-eye view of the storm. Geostationary satellites, hovering over the same spot on Earth, constantly monitor the storm’s development and movement. Polar-orbiting satellites offer more detailed images, capturing data about the storm’s internal structure and temperature. This satellite data helps meteorologists determine the storm’s size, shape, and intensity.

Then there are the aircraft. Specially equipped planes, like the NOAA Hurricane Hunters, fly directly into the storm to gather data. These brave pilots and scientists measure wind speed, pressure, temperature, and humidity using onboard instruments. They also drop devices called dropsondes into the hurricane. Dropsondes are like mini weather stations that parachute down through the storm, transmitting data back to the aircraft. This in-situ data is invaluable for understanding the hurricane’s inner workings and improving forecast accuracy. Radar is another essential tool. Ground-based radar systems can detect rainfall intensity and wind patterns, providing a detailed picture of the storm’s structure as it approaches land. Doppler radar can even measure the speed and direction of the wind, helping forecasters identify the most dangerous areas of the storm.

Finally, computer models are the workhorses of hurricane forecasting . These complex models use all the available data – from satellites, aircraft, radar, and surface observations – to simulate the behavior of the atmosphere and predict the hurricane’s future path and intensity. There are various models, each with its own strengths and weaknesses, and meteorologists often use an ensemble of models to get a more comprehensive forecast. The advancements in these tools has greatly improved the ability to accurately forecast and track hurricanes.

Understanding Hurricane Forecast Models

Delving deeper into hurricane tracking, it’s essential to grasp the concept of forecast models. These aren’t crystal balls, but sophisticated computer programs that crunch vast amounts of data to predict a hurricane’s future. Different models use different mathematical equations and assumptions, leading to varying forecasts. Some models, like the Global Forecast System (GFS) and the European Centre for Medium-Range Weather Forecasts (ECMWF) model, try to simulate the entire global atmosphere. These global models are good at predicting the large-scale weather patterns that influence a hurricane’s track.

Other models, like the Hurricane Weather Research and Forecasting (HWRF) model and the Coupled Ocean/Atmosphere Mesoscale Prediction System (COAMPS) , are specifically designed for hurricane forecasting. These regional models focus on the details of the storm itself and the surrounding environment. They often provide more accurate forecasts of the storm’s intensity and structure. Meteorologists often look at the ensemble forecasts , which combine the results of multiple models. By averaging the forecasts from different models, they can reduce the uncertainty and get a more reliable prediction. However, it’s important to remember that models aren’t perfect, and forecasts can change as new data becomes available. The infamous